1. 首页
  2. 小脸整形 / 咬肌肉毒杆菌
  3. 肉毒杆菌

肉毒杆菌

查看详情

【肉毒杆菌】 肉毒杆菌毒素注射是一种蛋白质,通过作用于肌肉和神经肌肉接合部,暂时放松肌肉。 根据注射部位的不同,可以期待改善皱纹、缓解咬肌肥大、治疗多汗症以及缓解肩膀酸痛等多种效果。

搜索条件

显示 1~12 项:全部 12 项

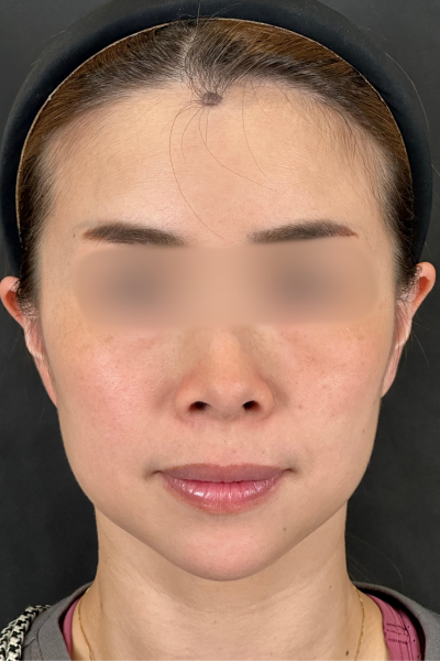
女士 40多岁

No.00718/ID:299723

患部状态

  • 面部轮廓松弛
  • 面颊松弛

本人要求

  • #肉毒杆菌
  • #HIFU
  • #线雕提升
  • Before
    手术前的状态 其一
  • Before
    手术前的状态 其一
  • Before
    手术前的状态 其一
  • After
    手术后的状态 其一
  • After
    手术后的状态 其一
  • After
    手术后的状态 其一

治疗内容・风险

  • 治疗内容・
    风险
    【线雕提升】
    ▪︎通常价格 / ¥236,000〜¥597,600
    ▪︎治疗次数 / 1
    ▪︎治疗内容 / 用于改善面颊和面部轮廓松弛的治疗。
    ▪︎风险及副作用 / 肿胀、疼痛:2天〜1周 / 淤血:1〜2周 ※自费医疗

    【超声刀】
    ▪︎通常价格 / ¥16,200〜¥220,800
    ▪︎治疗次数 / 1
    ▪︎治疗内容 / 利用HIFU(高密度聚焦超声)技术,通过热量收紧皮下组织,改善松弛并提升肌肤的紧致感。
    ▪︎风险及副作用 / 红肿:持续约1~2周 ※自费医疗

    【肉毒杆菌】
    ▪︎通常价格 / Allergan产品每1cc ¥7,800
    ▪︎治疗次数 / 1
    ▪︎治疗内容 / 通过暂时放松肌肉来改善表情纹、缩小咬肌,以及缓解肩部僵硬症状的治疗。
    ▪︎风险及副作用 / 疼痛、肿胀、淤血、过敏、表情不自然等 ※自费医疗

女士 20多岁

No.00707/ID:331824

患部状态

  • 法令纹
  • 面颊松弛

本人要求

  • #透明质酸注射
  • #肉毒杆菌
  • #林思雷德
  • Before
    手术前的状态 其一
  • Before
    手术前的状态 其一
  • Before
    手术前的状态 其一
  • After
    手术后的状态 其一
  • After
    手术后的状态 其一
  • After
    手术后的状态 其一

治疗内容・风险

  • 治疗内容・
    风险
    【Lim 线雕提升】
    ▪︎通常价格 / ¥386,000
    ▪︎治疗次数 / 1
    治疗详情 / 吸脂注射x埋线提升及整容手术独创的面部小手术。通过不留任何切口的超细针去除脂肪并通过埋线提升提升下垂的皮肤,您可以更可靠地实现理想的小脸。
    风险及副作用 / 肿胀和疼痛约2天至1周内出血约1至2周※自费医疗

    【肉毒杆菌】
    ▪︎通常价格 / Allergan产品每1cc ¥7,800
    ▪︎治疗次数 / 1
    ▪︎治疗内容 / 通过暂时放松肌肉来改善表情纹、缩小咬肌,以及缓解肩部僵硬症状的治疗。
    ▪︎风险及副作用 / 疼痛、肿胀、淤血、过敏、表情不自然等 ※自费医疗

    【透明质酸注射】
    ▪︎通常价格 / Allergan产品每1cc ¥77,000 / 韩国产品每1cc ¥38,500
    ▪︎治疗次数 / 1
    ▪︎治疗内容 / 以改善皱纹、凹陷以及轮廓为目的的治疗。
    ▪︎风险及副作用 / 疼痛、肿胀、淤血、血管闭塞、过敏、感染、硬结等 ※自费医疗

女士 20多岁

No.00706/ID:324797

患部状态

  • 面部轮廓松弛
  • 面部松弛

本人要求

  • #使脸部线条更清晰
  • #透明质酸注射
  • #肉毒杆菌
  • #林思雷德
  • Before
    手术前的状态 其一
  • Before
    手术前的状态 其一
  • Before
    手术前的状态 其一
  • After
    手术后的状态 其一
  • After
    手术后的状态 其一
  • After
    手术后的状态 其一

治疗内容・风险

  • 治疗内容・
    风险
    【Lim 线雕提升】
    ▪︎通常价格 / ¥386,000
    ▪︎治疗次数 / 1
    治疗详情 / 吸脂注射x埋线提升及整容手术独创的面部小手术。通过不留任何切口的超细针去除脂肪并通过埋线提升提升下垂的皮肤,您可以更可靠地实现理想的小脸。
    风险及副作用 / 肿胀和疼痛约2天至1周内出血约1至2周※自费医疗

    【肉毒杆菌】
    ▪︎通常价格 / Allergan产品每1cc ¥7,800
    ▪︎治疗次数 / 1
    ▪︎治疗内容 / 通过暂时放松肌肉来改善表情纹、缩小咬肌,以及缓解肩部僵硬症状的治疗。
    ▪︎风险及副作用 / 疼痛、肿胀、淤血、过敏、表情不自然等 ※自费医疗

    【透明质酸注射】
    ▪︎通常价格 / Allergan产品每1cc ¥77,000 / 韩国产品每1cc ¥38,500
    ▪︎治疗次数 / 1
    ▪︎治疗内容 / 以改善皱纹、凹陷以及轮廓为目的的治疗。
    ▪︎风险及副作用 / 疼痛、肿胀、淤血、血管闭塞、过敏、感染、硬结等 ※自费医疗

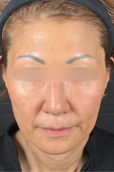
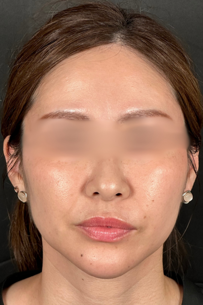
女士 40多岁

No.00625/ID:276371

患部状态

  • 法令纹
  • 口周松弛

本人要求

  • #改善法令纹
  • #线雕提升/PCL
  • Before
    手术前的状态 其一
  • Before
    手术前的状态 其一
  • Before
    手术前的状态 其一
  • After
    手术后的状态 其一
  • After
    手术后的状态 其一
  • After
    手术后的状态 其一

治疗内容・风险

  • 治疗内容・
    风险
    【线雕提升】
    ▪︎通常价格 / ¥236,000〜¥597,600
    ▪︎治疗次数 / 1
    ▪︎治疗内容 / 用于改善面颊和面部轮廓松弛的治疗。
    ▪︎风险及副作用 / 肿胀、疼痛:2天〜1周 / 淤血:1〜2周 ※自费医疗

    【透明质酸注射】
    ▪︎通常价格 / Allergan产品每1cc ¥77,000 / 韩国产品每1cc ¥38,500
    ▪︎治疗次数 / 1
    ▪︎治疗内容 / 以改善皱纹、凹陷以及轮廓为目的的治疗。
    ▪︎风险及副作用 / 疼痛、肿胀、淤血、血管闭塞、过敏、感染、硬结等 ※自费医疗

    【肉毒杆菌】
    ▪︎通常价格 / Allergan产品每1cc ¥7,800
    ▪︎治疗次数 / 1
    ▪︎治疗内容 / 通过暂时放松肌肉来改善表情纹、缩小咬肌,以及缓解肩部僵硬症状的治疗。
    ▪︎风险及副作用 / 疼痛、肿胀、淤血、过敏、表情不自然等 ※自费医疗

女士 50多岁

No.00352/ID:177729

患部状态

  • 面部轮廓松弛
  • 木偶线松弛
  • 面颊松弛

本人要求

  • #线雕提升/PDO
  • #肉毒杆菌
  • Before
    手术前的状态 其一
  • Before
    手术前的状态 其一
  • Before
    手术前的状态 其一
  • After
    手术后的状态 其一
  • After
    手术后的状态 其一
  • After
    手术后的状态 其一

治疗内容・风险

  • 治疗内容・
    风险
    【线雕提升】
    ▪︎通常价格 / ¥236,000〜¥597,600
    ▪︎治疗次数 / 1
    ▪︎治疗内容 / 用于改善面颊和面部轮廓松弛的治疗。
    ▪︎风险及副作用 / 肿胀、疼痛:2天〜1周 / 淤血:1〜2周 ※自费医疗

    【肉毒杆菌】
    ▪︎通常价格 / Allergan产品每1cc ¥7,800
    ▪︎治疗次数 / 1
    ▪︎治疗内容 / 通过暂时放松肌肉来改善表情纹、缩小咬肌,以及缓解肩部僵硬症状的治疗。
    ▪︎风险及副作用 / 疼痛、肿胀、淤血、过敏、表情不自然等 ※自费医疗

女士 30多岁

No.00346/ID:133338

患部状态

  • 法令纹
  • 面颊松弛

本人要求

  • #使脸部线条更清晰
  • #改善皮肤松弛
  • #肉毒杆菌
  • Before
    手术前的状态 其一
  • Before
    手术前的状态 其一
  • Before
    手术前的状态 其一
  • After
    手术后的状态 其一
  • After
    手术后的状态 其一
  • After
    手术后的状态 其一

治疗内容・风险

  • 治疗内容・
    风险
    【线雕提升】
    ▪︎通常价格 / ¥236,000〜¥597,600
    ▪︎治疗次数 / 1
    ▪︎治疗内容 / 用于改善面颊和面部轮廓松弛的治疗。
    ▪︎风险及副作用 / 肿胀、疼痛:2天〜1周 / 淤血:1〜2周 ※自费医疗

    【肉毒杆菌】
    ▪︎通常价格 / Allergan产品每1cc ¥7,800
    ▪︎治疗次数 / 1
    ▪︎治疗内容 / 通过暂时放松肌肉来改善表情纹、缩小咬肌,以及缓解肩部僵硬症状的治疗。
    ▪︎风险及副作用 / 疼痛、肿胀、淤血、过敏、表情不自然等 ※自费医疗

女士 30多岁

No.00340/ID:201550

患部状态

  • 面部轮廓松弛
  • 面部松弛

本人要求

  • #透明质酸注射
  • #肉毒杆菌
  • Before
    手术前的状态 其一
  • Before
    手术前的状态 其一
  • Before
    手术前的状态 其一
  • After
    手术后的状态 其一
  • After
    手术后的状态 其一
  • After
    手术后的状态 其一

治疗内容・风险

  • 治疗内容・
    风险
    【肉毒杆菌】
    ▪︎通常价格 / Allergan产品每1cc ¥7,800
    ▪︎治疗次数 / 1
    ▪︎治疗内容 / 通过暂时放松肌肉来改善表情纹、缩小咬肌,以及缓解肩部僵硬症状的治疗。
    ▪︎风险及副作用 / 疼痛、肿胀、淤血、过敏、表情不自然等 ※自费医疗

    【透明质酸注射】
    ▪︎通常价格 / Allergan产品每1cc ¥77,000 / 韩国产品每1cc ¥38,500
    ▪︎治疗次数 / 1
    ▪︎治疗内容 / 以改善皱纹、凹陷以及轮廓为目的的治疗。
    ▪︎风险及副作用 / 疼痛、肿胀、淤血、血管闭塞、过敏、感染、硬结等 ※自费医疗

女士 40多岁

No.00339/ID:183432

患部状态

  • 法令纹
  • 面颊松弛

本人要求

  • #线雕提升/PDO
  • #溶脂术
  • #肉毒杆菌
  • Before
    手术前的状态 其一
  • Before
    手术前的状态 其一
  • Before
    手术前的状态 其一
  • After
    手术后的状态 其一
  • After
    手术后的状态 其一
  • After
    手术后的状态 其一

治疗内容・风险

  • 治疗内容・
    风险
    【线雕提升】
    ▪︎通常价格 / ¥236,000〜¥597,600
    ▪︎治疗次数 / 1
    ▪︎治疗内容 / 用于改善面颊和面部轮廓松弛的治疗。
    ▪︎风险及副作用 / 肿胀、疼痛:2天〜1周 / 淤血:1〜2周 ※自费医疗

    【肉毒杆菌】
    ▪︎通常价格 / Allergan产品每1cc ¥7,800
    ▪︎治疗次数 / 1
    ▪︎治疗内容 / 通过暂时放松肌肉来改善表情纹、缩小咬肌,以及缓解肩部僵硬症状的治疗。
    ▪︎风险及副作用 / 疼痛、肿胀、淤血、过敏、表情不自然等 ※自费医疗

    【溶脂术(双颊・下巴下)】
    ▪︎通常价格 / ¥400,000
    ▪︎治疗次数 / 1
    ▪︎治疗内容 / 从脂肪较多或关注的部位吸取脂肪细胞的手术。
    ▪︎风险及副作用 / 疲倦、发热、头痛、荨麻疹、瘙痒、肿胀、发烧、咳嗽、冷汗、胸痛、吸取部位皮肤变硬、表面不平整、手术部位感觉麻木、迟钝、刺痛、皮肤色素沉着等 ※自费医疗

女士 30多岁

No.00310/ID:181170

患部状态

  • 面部松弛
  • 法令纹

本人要求

  • #使脸部线条更清晰
  • #改善皮肤松弛
  • Before
    手术前的状态 其一
  • Before
    手术前的状态 其一
  • Before
    手术前的状态 其一
  • After
    手术后的状态 其一
  • After
    手术后的状态 其一
  • After
    手术后的状态 其一

治疗内容・风险

  • 治疗内容・
    风险
    【线雕提升】
    ▪︎通常价格 / ¥236,000〜¥597,600
    ▪︎治疗次数 / 1
    ▪︎治疗内容 / 用于改善面颊和面部轮廓松弛的治疗。
    ▪︎风险及副作用 / 肿胀、疼痛:2天〜1周 / 淤血:1〜2周 ※自费医疗

    【肉毒杆菌】
    ▪︎通常价格 / Allergan产品每1cc ¥7,800
    ▪︎治疗次数 / 1
    ▪︎治疗内容 / 通过暂时放松肌肉来改善表情纹、缩小咬肌,以及缓解肩部僵硬症状的治疗。
    ▪︎风险及副作用 / 疼痛、肿胀、淤血、过敏、表情不自然等 ※自费医疗

女士 40多岁

No.00309/ID:200315

患部状态

  • 面部松弛
  • 法令纹

本人要求

  • #使脸部线条更清晰
  • #改善皮肤松弛
  • #肉毒杆菌
  • Before
    手术前的状态 其一
  • Before
    手术前的状态 其一
  • Before
    手术前的状态 其一
  • After
    手术后的状态 其一
  • After
    手术后的状态 其一
  • After
    手术后的状态 其一

治疗内容・风险

  • 治疗内容・
    风险
    【线雕提升】
    ▪︎通常价格 / ¥236,000〜¥597,600
    ▪︎治疗次数 / 1
    ▪︎治疗内容 / 用于改善面颊和面部轮廓松弛的治疗。
    ▪︎风险及副作用 / 肿胀、疼痛:2天〜1周 / 淤血:1〜2周 ※自费医疗

    【透明质酸注射】
    ▪︎通常价格 / Allergan产品每1cc ¥77,000 / 韩国产品每1cc ¥38,500
    ▪︎治疗次数 / 1
    ▪︎治疗内容 / 以改善皱纹、凹陷以及轮廓为目的的治疗。
    ▪︎风险及副作用 / 疼痛、肿胀、淤血、血管闭塞、过敏、感染、硬结等 ※自费医疗

    【肉毒杆菌】
    ▪︎通常价格 / Allergan产品每1cc ¥7,800
    ▪︎治疗次数 / 1
    ▪︎治疗内容 / 通过暂时放松肌肉来改善表情纹、缩小咬肌,以及缓解肩部僵硬症状的治疗。
    ▪︎风险及副作用 / 疼痛、肿胀、淤血、过敏、表情不自然等 ※自费医疗

女士 30多岁

No.00308/ID:102383

患部状态

  • 面部松弛
  • 法令纹

本人要求

  • #使脸部线条更清晰
  • #改善皮肤松弛
  • #肉毒杆菌
  • Before
    手术前的状态 其一
  • Before
    手术前的状态 其一
  • Before
    手术前的状态 其一
  • After
    手术后的状态 其一
  • After
    手术后的状态 其一
  • After
    手术后的状态 其一

治疗内容・风险

  • 治疗内容・
    风险
    【线雕提升】
    ▪︎通常价格 / ¥236,000〜¥597,600
    ▪︎治疗次数 / 1
    ▪︎治疗内容 / 用于改善面颊和面部轮廓松弛的治疗。
    ▪︎风险及副作用 / 肿胀、疼痛:2天〜1周 / 淤血:1〜2周 ※自费医疗

    【透明质酸注射】
    ▪︎通常价格 / Allergan产品每1cc ¥77,000 / 韩国产品每1cc ¥38,500
    ▪︎治疗次数 / 1
    ▪︎治疗内容 / 以改善皱纹、凹陷以及轮廓为目的的治疗。
    ▪︎风险及副作用 / 疼痛、肿胀、淤血、血管闭塞、过敏、感染、硬结等 ※自费医疗

    【肉毒杆菌】
    ▪︎通常价格 / Allergan产品每1cc ¥7,800
    ▪︎治疗次数 / 1
    ▪︎治疗内容 / 通过暂时放松肌肉来改善表情纹、缩小咬肌,以及缓解肩部僵硬症状的治疗。
    ▪︎风险及副作用 / 疼痛、肿胀、淤血、过敏、表情不自然等 ※自费医疗

女士 40多岁

No.00013/ID:160169

患部状态

  • 下颌角突出

本人要求

  • #改善下颌角宽大
  • #肉毒杆菌
  • Before
    手术前的状态 其一
  • Before
    手术前的状态 其一
  • Before
    手术前的状态 其一
  • After
    手术后的状态 其一
  • After
    手术后的状态 其一
  • After
    手术后的状态 其一

治疗内容・风险

  • 治疗内容・
    风险
    可能会出现疼痛、肿胀、淤血、过敏反应及表情不自然的情况。