1. トップページヘ
  2. 小顔(糸リフト・顔の脂肪吸引) / ボトックス
  3. ボトックス

ボトックス

詳細をみる

ボツリヌストキシン注射はタンパク質の一種で筋肉と神経筋接合部に作用し、筋肉を一時的にリラックスさせます。 「シワの改善」「エラ張りの改善」「多汗症の改善」「肩こりの改善」など注入箇所によって様々な効果が期待できます。

検索条件

1~19件を表示:全19件

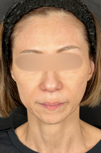
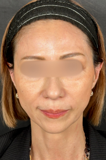
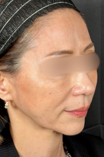
女性 40代

No.00718/ID:299723

患部の状態

  • フェイスラインのもたつき
  • 頬のたるみ

本人のご要望

  • #ボトックス
  • #ハイフ
  • #糸リフト
  • Before
    手術前の状態
  • Before
    手術前の状態
  • Before
    手術前の状態
  • After
    手術後の状態
  • After
    手術後の状態
  • After
    手術後の状態

施術内容・リスク

  • 施術内容・
    リスク
    【糸リフト】
    ▪︎通常価格 / ¥236,000〜¥597,600
    ▪︎治療回数 / 1回
    ▪︎治療内容 / 頬、フェイスラインのたるみの改善を図る目的とした施術です。
    ▪︎リスク・副作用について / 腫れ・痛み:2日〜1週間程度/内出血:1〜2週間程度 ※自由診療

    【ハイフ】
    ▪︎通常価格 / ¥16,200〜¥220,800
    ▪︎治療回数 / 1回
    ▪︎治療内容 / HIFU(高密度焦点式超音波)を照射し、熱の力で皮下組織を凝集することで
    たるみの改善、肌を引き締めリフトアップする治療です。
    ▪︎リスク・副作用について / 赤み:1~2週間程度 ※自由診療

    【ボトックス】
    ▪︎通常価格 / アラガン製1ccあたり / ¥7,800
    ▪︎治療回数 / 1回
    ▪︎治療内容 / 筋肉を一 時的にリラックスさせ、表情じわの改善やエラの収縮、肩こり症状の改善を図る目的とした施術です。
    ▪︎リスク・副作用について / 疼痛・腫れ・内出血・アレルギー・表情に違和感など ※自由診療

女性 20代

No.00707/ID:331824

患部の状態

  • ほうれい線
  • 頬のたるみ

本人のご要望

  • #ヒアルロン酸
  • #ボトックス
  • #リムスレッド
  • Before
    手術前の状態
  • Before
    手術前の状態
  • Before
    手術前の状態
  • After
    手術後の状態
  • After
    手術後の状態
  • After
    手術後の状態

施術内容・リスク

  • 施術内容・
    リスク
    【リム スレッド】
    ▪︎通常価格 / ¥386,000
    ▪︎治療回数 / 1回
    ▪︎治療内容 / 脂肪吸引注射×のAND美容外科独自小顔術です。切開をせず極細針で脂肪を取り除き、でたるみを引き上げることでより確実に理想の小顔を叶えます。
    ▪︎リスク・副作用について / 腫れ・痛み2日〜1週間程度 内出血1〜2週間程度 ※自由診療

    【ボトックス】
    ▪︎通常価格 / アラガン製1ccあたり / ¥7,800
    ▪︎治療回数 / 1回
    ▪︎治療内容 / 筋肉を一 時的にリラックスさせ、表情じわの改善やエラの収縮、肩こり症状の改善を図る目的とした施術です。
    ▪︎リスク・副作用について / 疼痛・腫れ・内出血・アレルギー・表情に違和感など ※自由診療

    【ヒアルロン酸注入】
    ▪︎通常価格 / アラガン製1ccあたり ¥77,000 韓国製1ccあたり ¥38,500
    ▪︎治療回数 / 1回
    ▪︎治療内容 / しわや窪み、輪郭の改善を図ることを目的とした施術です。
    ▪︎リスク・副作用について / 疼痛・腫れ・内出血・血管閉塞・アレルギー・感染・硬結など ※自由診療

女性 20代

No.00706/ID:324797

患部の状態

  • フェイスラインのもたつき
  • 顔のたるみ

本人のご要望

  • #フェイスラインをスッキリさせる
  • #ヒアルロン酸
  • #ボトックス
  • #リムスレッド
  • Before
    手術前の状態
  • Before
    手術前の状態
  • Before
    手術前の状態
  • After
    手術後の状態
  • After
    手術後の状態
  • After
    手術後の状態

施術内容・リスク

  • 施術内容・
    リスク
    【リム スレッド】
    ▪︎通常価格 / ¥386,000
    ▪︎治療回数 / 1回
    ▪︎治療内容 / 脂肪吸引注射×のAND美容外科独自小顔術です。切開をせず極細針で脂肪を取り除き、でたるみを引き上げることでより確実に理想の小顔を叶えます。
    ▪︎リスク・副作用について / 腫れ・痛み2日〜1週間程度 内出血1〜2週間程度 ※自由診療

    【ボトックス】
    ▪︎通常価格 / アラガン製1ccあたり / ¥7,800
    ▪︎治療回数 / 1回
    ▪︎治療内容 / 筋肉を一 時的にリラックスさせ、表情じわの改善やエラの収縮、肩こり症状の改善を図る目的とした施術です。
    ▪︎リスク・副作用について / 疼痛・腫れ・内出血・アレルギー・表情に違和感など ※自由診療

    【ヒアルロン酸注入】
    ▪︎通常価格 / アラガン製1ccあたり ¥77,000 韓国製1ccあたり ¥38,500
    ▪︎治療回数 / 1回
    ▪︎治療内容 / しわや窪み、輪郭の改善を図ることを目的とした施術です。
    ▪︎リスク・副作用について / 疼痛・腫れ・内出血・血管閉塞・アレルギー・感染・硬結など ※自由診療

女性 40代

No.00625/ID:276371

患部の状態

  • ほうれい線
  • 口元のたるみ

本人のご要望

  • #ほうれい線の改善
  • #糸リフトPCL
  • Before
    手術前の状態
  • Before
    手術前の状態
  • Before
    手術前の状態
  • After
    手術後の状態
  • After
    手術後の状態
  • After
    手術後の状態

施術内容・リスク

  • 施術内容・
    リスク
    【糸リフト】
    ▪︎通常価格 / ¥236,000〜¥597,600
    ▪︎治療回数 / 1回
    ▪︎治療内容 / 頬、フェイスラインのたるみの改善を図る目的とした施術です。
    ▪︎リスク・副作用について / 腫れ・痛み:2日〜1週間程度/内出血:1〜2週間程度 ※自由診療

    【ヒアルロン酸注入】
    ▪︎通常価格 / アラガン製1ccあたり ¥77,000 韓国製1ccあたり ¥38,500
    ▪︎治療回数 / 1回
    ▪︎治療内容 / しわや窪み、輪郭の改善を図ることを目的とした施術です。
    ▪︎リスク・副作用について / 疼痛・腫れ・内出血・血管閉塞・アレルギー・感染・硬結など ※自由診療

    【ボトックス】
    ▪︎通常価格 / アラガン製1ccあたり / ¥7,800
    ▪︎治療回数 / 1回
    ▪︎治療内容 / 筋肉を一 時的にリラックスさせ、表情じわの改善やエラの収縮、肩こり症状の改善を図る目的とした施術です。
    ▪︎リスク・副作用について / 疼痛・腫れ・内出血・アレルギー・表情に違和感など ※自由診療

女性 30代

No.00357/ID:103389

患部の状態

  • 頬のたるみ
  • エラの張り

本人のご要望

  • #フェイスラインをスッキリさせる
  • #ほうれい線の改善
  • #糸リフトPDO
  • #エラ張りの改善
  • #ボトックス
  • Before
    手術前の状態
  • Before
    手術前の状態
  • Before
    手術前の状態
  • After
    手術後の状態
  • After
    手術後の状態
  • After
    手術後の状態

施術内容・リスク

  • 施術内容・
    リスク
    【糸リフト】
    ▪︎通常価格 / ¥236,000〜¥597,600
    ▪︎治療回数 / 1回
    ▪︎治療内容 / 頬、フェイスラインのたるみの改善を図る目的とした施術です。
    ▪︎リスク・副作用について / 腫れ・痛み:2日〜1週間程度/内出血:1〜2週間程度 ※自由診療

    【ボトックス】
    ▪︎通常価格 / アラガン製1ccあたり / ¥7,800
    ▪︎治療回数 / 1回
    ▪︎治療内容 / 筋肉を一 時的にリラックスさせ、表情じわの改善やエラの収縮、肩こり症状の改善を図る目的とした施術です。
    ▪︎リスク・副作用について / 疼痛・腫れ・内出血・アレルギー・表情に違和感など ※自由診療

女性 40代

No.00353/ID:65420

患部の状態

  • 顔のたるみ
  • ほうれい線

本人のご要望

  • #フェイスラインをスッキリさせる
  • #たるみの改善
  • #ボトックス
  • Before
    手術前の状態
  • Before
    手術前の状態
  • Before
    手術前の状態
  • After
    手術後の状態
  • After
    手術後の状態
  • After
    手術後の状態

施術内容・リスク

  • 施術内容・
    リスク
    【糸リフト】
    ▪︎通常価格 / ¥236,000〜¥597,600
    ▪︎治療回数 / 1回
    ▪︎治療内容 / 頬、フェイスラインのたるみの改善を図る目的とした施術です。
    ▪︎リスク・副作用について / 腫れ・痛み:2日〜1週間程度/内出血:1〜2週間程度 ※自由診療

    【バッカルファット・ジョールファット・メーラーファット除去】
    ▪︎通常価格 / 各¥200,000
    ▪︎治療回数 / 1回
    ▪︎治療内容 / 頬部のたるみや重くボテっとした輪郭の原因の一つである、バッカルファットを切除することにより、スッキリとした輪郭を目指します。
    ▪︎リスク・副作用について / だるさ・熱感・頭痛・蕁麻疹・痒み・むくみ・発熱・咳・冷や汗・胸痛・左右差・へこみ、頬がこける、皮膚がたるむなど ※自由診療

    【ボトックス】
    ▪︎通常価格 / アラガン製1ccあたり / ¥7,800
    ▪︎治療回数 / 1回
    ▪︎治療内容 / 筋肉を一 時的にリラックスさせ、表情じわの改善やエラの収縮、肩こり症状の改善を図る目的とした施術です。
    ▪︎リスク・副作用について / 疼痛・腫れ・内出血・アレルギー・表情に違和感など ※自由診療

女性 50代

No.00352/ID:177729

患部の状態

  • フェイスラインのもたつき
  • マリオネットラインのもたつき
  • 頬のたるみ

本人のご要望

  • #糸リフトPDO
  • #ボトックス
  • Before
    手術前の状態
  • Before
    手術前の状態
  • Before
    手術前の状態
  • After
    手術後の状態
  • After
    手術後の状態
  • After
    手術後の状態

施術内容・リスク

  • 施術内容・
    リスク
    【糸リフト】
    ▪︎通常価格 / ¥236,000〜¥597,600
    ▪︎治療回数 / 1回
    ▪︎治療内容 / 頬、フェイスラインのたるみの改善を図る目的とした施術です。
    ▪︎リスク・副作用について / 腫れ・痛み:2日〜1週間程度/内出血:1〜2週間程度 ※自由診療

    【ボトックス】
    ▪︎通常価格 / アラガン製1ccあたり / ¥7,800
    ▪︎治療回数 / 1回
    ▪︎治療内容 / 筋肉を一 時的にリラックスさせ、表情じわの改善やエラの収縮、肩こり症状の改善を図る目的とした施術です。
    ▪︎リスク・副作用について / 疼痛・腫れ・内出血・アレルギー・表情に違和感など ※自由診療

女性 30代

No.00346/ID:133338

患部の状態

  • ほうれい線
  • 頬のたるみ

本人のご要望

  • #フェイスラインをスッキリさせる
  • #たるみの改善
  • #ボトックス
  • Before
    手術前の状態
  • Before
    手術前の状態
  • Before
    手術前の状態
  • After
    手術後の状態
  • After
    手術後の状態
  • After
    手術後の状態

施術内容・リスク

  • 施術内容・
    リスク
    【糸リフト】
    ▪︎通常価格 / ¥236,000〜¥597,600
    ▪︎治療回数 / 1回
    ▪︎治療内容 / 頬、フェイスラインのたるみの改善を図る目的とした施術です。
    ▪︎リスク・副作用について / 腫れ・痛み:2日〜1週間程度/内出血:1〜2週間程度 ※自由診療

    【ボトックス】
    ▪︎通常価格 / アラガン製1ccあたり / ¥7,800
    ▪︎治療回数 / 1回
    ▪︎治療内容 / 筋肉を一 時的にリラックスさせ、表情じわの改善やエラの収縮、肩こり症状の改善を図る目的とした施術です。
    ▪︎リスク・副作用について / 疼痛・腫れ・内出血・アレルギー・表情に違和感など ※自由診療

女性 30代

No.00340/ID:201550

患部の状態

  • エラの張り

本人のご要望

  • #フェイスラインをスッキリさせる
  • #ヒアルロン酸
  • #エラ張りの改善
  • #ボトックス
  • Before
    手術前の状態
  • Before
    手術前の状態
  • Before
    手術前の状態
  • After
    手術後の状態
  • After
    手術後の状態
  • After
    手術後の状態

施術内容・リスク

  • 施術内容・
    リスク
    【ボトックス】
    ▪︎通常価格 / アラガン製1ccあたり / ¥7,800
    ▪︎治療回数 / 1回
    ▪︎治療内容 / 筋肉を一 時的にリラックスさせ、表情じわの改善やエラの収縮、肩こり症状の改善を図る目的とした施術です。
    ▪︎リスク・副作用について / 疼痛・腫れ・内出血・アレルギー・表情に違和感など ※自由診療

    【ヒアルロン酸注入】
    ▪︎通常価格 / アラガン製1ccあたり ¥77,000 韓国製1ccあたり ¥38,500
    ▪︎治療回数 / 1回
    ▪︎治療内容 / しわや窪み、輪郭の改善を図ることを目的とした施術です。
    ▪︎リスク・副作用について / 疼痛・腫れ・内出血・血管閉塞・アレルギー・感染・硬結など ※自由診療

女性 40代

No.00339/ID:183432

患部の状態

  • ほうれい線
  • 頬のたるみ

本人のご要望

  • #糸リフトPDO
  • #脂肪吸引
  • #ボトックス
  • Before
    手術前の状態
  • Before
    手術前の状態
  • Before
    手術前の状態
  • After
    手術後の状態
  • After
    手術後の状態
  • After
    手術後の状態

施術内容・リスク

  • 施術内容・
    リスク
    【糸リフト】
    ▪︎通常価格 / ¥236,000〜¥597,600
    ▪︎治療回数 / 1回
    ▪︎治療内容 / 頬、フェイスラインのたるみの改善を図る目的とした施術です。
    ▪︎リスク・副作用について / 腫れ・痛み:2日〜1週間程度/内出血:1〜2週間程度 ※自由診療

    【ボトックス】
    ▪︎通常価格 / アラガン製1ccあたり / ¥7,800
    ▪︎治療回数 / 1回
    ▪︎治療内容 / 筋肉を一 時的にリラックスさせ、表情じわの改善やエラの収縮、肩こり症状の改善を図る目的とした施術です。
    ▪︎リスク・副作用について / 疼痛・腫れ・内出血・アレルギー・表情に違和感など ※自由診療

    【脂肪吸引(両頬・顎下)】
    ▪︎通常価格 / ¥400,000
    ▪︎治療内容 / 脂肪が多くついている部位・気になる部位から脂肪細胞を吸引する施術です。
    ▪︎リスク・副作用について / だるさ・熱・頭痛・蕁麻疹・痒み・むくみ・発熱・咳・冷や汗・胸痛・吸引部の皮膚が硬くなる・凹凸になる・施術箇所の知覚の麻痺・鈍さ、しびれ・皮膚の色素沈着など ※自由診療

女性 40代

No.00330/ID:170262

患部の状態

  • 顔のたるみ
  • ほうれい線

本人のご要望

  • #フェイスラインをスッキリさせる
  • #糸リフトPDO
  • #ボトックス
  • Before
    手術前の状態
  • Before
    手術前の状態
  • Before
    手術前の状態
  • After
    手術後の状態
  • After
    手術後の状態
  • After
    手術後の状態

施術内容・リスク

  • 施術内容・
    リスク
    【糸リフト】
    ▪︎通常価格 / ¥236,000〜¥597,600
    ▪︎治療回数 / 1回
    ▪︎治療内容 / 頬、フェイスラインのたるみの改善を図る目的とした施術です。
    ▪︎リスク・副作用について / 腫れ・痛み:2日〜1週間程度/内出血:1〜2週間程度 ※自由診療

    【ボトックス】
    ▪︎通常価格 / アラガン製1ccあたり / ¥7,800
    ▪︎治療回数 / 1回
    ▪︎治療内容 / 筋肉を一 時的にリラックスさせ、表情じわの改善やエラの収縮、肩こり症状の改善を図る目的とした施術です。
    ▪︎リスク・副作用について / 疼痛・腫れ・内出血・アレルギー・表情に違和感など ※自由診療

    【ハイフ】
    ▪︎通常価格 / ¥16,200〜¥220,800
    ▪︎治療回数 / 1回
    ▪︎治療内容 / HIFU(高密度焦点式超音波)を照射し、熱の力で皮下組織を凝集することで
    たるみの改善、肌を引き締めリフトアップする治療です。
    ▪︎リスク・副作用について / 赤み:1~2週間程度 ※自由診療

女性 50代

No.00324/ID:141475

患部の状態

  • フェイスラインのもたつき

本人のご要望

  • #フェイスラインをスッキリさせる
  • #糸リフトVOV
  • #ヒアルロン酸
  • #ボトックス
  • Before
    手術前の状態
  • Before
    手術前の状態
  • Before
    手術前の状態
  • After
    手術後の状態
  • After
    手術後の状態
  • After
    手術後の状態

施術内容・リスク

  • 施術内容・
    リスク
    【糸リフト】
    ▪︎通常価格 / ¥236,000〜¥597,600
    ▪︎治療回数 / 1回
    ▪︎治療内容 / 頬、フェイスラインのたるみの改善を図る目的とした施術です。
    ▪︎リスク・副作用について / 腫れ・痛み:2日〜1週間程度/内出血:1〜2週間程度 ※自由診療

    【ヒアルロン酸注入】
    ▪︎通常価格 / アラガン製1ccあたり ¥77,000 韓国製1ccあたり ¥38,500
    ▪︎治療回数 / 1回
    ▪︎治療内容 / しわや窪み、輪郭の改善を図ることを目的とした施術です。
    ▪︎リスク・副作用について / 疼痛・腫れ・内出血・血管閉塞・アレルギー・感染・硬結など ※自由診療

    【ボトックス】
    ▪︎通常価格 / アラガン製1ccあたり / ¥7,800
    ▪︎治療回数 / 1回
    ▪︎治療内容 / 筋肉を一 時的にリラックスさせ、表情じわの改善やエラの収縮、肩こり症状の改善を図る目的とした施術です。
    ▪︎リスク・副作用について / 疼痛・腫れ・内出血・アレルギー・表情に違和感など ※自由診療

女性 40代

No.00323/ID:135870

患部の状態

  • フェイスラインのもたつき

本人のご要望

  • #フェイスラインをスッキリさせる
  • Before
    手術前の状態
  • Before
    手術前の状態
  • Before
    手術前の状態
  • After
    手術後の状態
  • After
    手術後の状態
  • After
    手術後の状態

施術内容・リスク

  • 施術内容・
    リスク
    【糸リフト】
    ▪︎通常価格 / ¥236,000〜¥597,600
    ▪︎治療回数 / 1回
    ▪︎治療内容 / 頬、フェイスラインのたるみの改善を図る目的とした施術です。
    ▪︎リスク・副作用について / 腫れ・痛み:2日〜1週間程度/内出血:1〜2週間程度 ※自由診療

    【ボトックス】
    ▪︎通常価格 / アラガン製1ccあたり / ¥7,800
    ▪︎治療回数 / 1回
    ▪︎治療内容 / 筋肉を一 時的にリラックスさせ、表情じわの改善やエラの収縮、肩こり症状の改善を図る目的とした施術です。
    ▪︎リスク・副作用について / 疼痛・腫れ・内出血・アレルギー・表情に違和感など ※自由診療

    【スネコス注射】
    ▪︎通常価格 / 1ccあたり¥18,500
    ▪治療回数 / 1〜4回
    ▪治療期間 / 2週間〜2ヶ月
    ▪︎治療内容 / 製剤を真皮層に注入することで、コラーゲン▪︎エラスチンの合成を同時に誘発させ真皮の状態を改善し、肌の弾力やハリを回復してクマ▪︎たるみを改善していきます。
    ▪︎リスク▪︎副作用について / 腫れ▪︎痛み▪︎内出血:1週間程度 ※自由診療

女性 20代

No.00318/ID:185397

患部の状態

  • 顔のたるみ
  • ほうれい線

本人のご要望

  • #フェイスラインをスッキリさせる
  • #糸リフトVOV
  • Before
    手術前の状態
  • Before
    手術前の状態
  • Before
    手術前の状態
  • After
    手術後の状態
  • After
    手術後の状態
  • After
    手術後の状態

施術内容・リスク

  • 施術内容・
    リスク
    【糸リフト】
    ▪︎通常価格 / ¥236,000〜¥597,600
    ▪︎治療回数 / 1回
    ▪︎治療内容 / 頬、フェイスラインのたるみの改善を図る目的とした施術です。
    ▪︎リスク・副作用について / 腫れ・痛み:2日〜1週間程度/内出血:1〜2週間程度 ※自由診療

    【ヒアルロン酸注入】
    ▪︎通常価格 / アラガン製1ccあたり ¥77,000 韓国製1ccあたり ¥38,500
    ▪︎治療回数 / 1回
    ▪︎治療内容 / しわや窪み、輪郭の改善を図ることを目的とした施術です。
    ▪︎リスク・副作用について / 疼痛・腫れ・内出血・血管閉塞・アレルギー・感染・硬結など ※自由診療

    【ボトックス】
    ▪︎通常価格 / アラガン製1ccあたり / ¥7,800
    ▪︎治療回数 / 1回
    ▪︎治療内容 / 筋肉を一 時的にリラックスさせ、表情じわの改善やエラの収縮、肩こり症状の改善を図る目的とした施術です。
    ▪︎リスク・副作用について / 疼痛・腫れ・内出血・アレルギー・表情に違和感など ※自由診療

    【脂肪溶解注射】
    ▪︎通常価格 / 1部位 ¥300,000
    ▪︎治療回数 / 1回
    ▪︎治療内容 / 自身から採取した脂肪を気になる深いシワやくぼみ・凹みに注入することで肌にハリを持たせ改善させる方法です。
    ▪︎リスク・副作用について / だるさ・熱感・頭痛・蕁麻疹・痒み・むくみ・発熱・咳・冷や汗・胸痛・吸引部の皮膚が硬くなる、
    凹凸になる・施術箇所の知覚の麻痺・鈍さ、しびれ・皮膚の色素沈着などを生じることがあります。 ※自由診療

女性 50代

No.00317/ID:178664

患部の状態

  • 顔のたるみ
  • ほうれい線

本人のご要望

  • #フェイスラインをスッキリさせる
  • #たるみの改善
  • #ヒアルロン酸
  • #ボトックス
  • Before
    手術前の状態
  • Before
    手術前の状態
  • Before
    手術前の状態
  • After
    手術後の状態
  • After
    手術後の状態
  • After
    手術後の状態

施術内容・リスク

  • 施術内容・
    リスク
    【糸リフト】
    ▪︎通常価格 / ¥236,000〜¥597,600
    ▪︎治療回数 / 1回
    ▪︎治療内容 / 頬、フェイスラインのたるみの改善を図る目的とした施術です。
    ▪︎リスク・副作用について / 腫れ・痛み:2日〜1週間程度/内出血:1〜2週間程度 ※自由診療

    【ヒアルロン酸注入】
    ▪︎通常価格 / アラガン製1ccあたり ¥77,000 韓国製1ccあたり ¥38,500
    ▪︎治療回数 / 1回
    ▪︎治療内容 / しわや窪み、輪郭の改善を図ることを目的とした施術です。
    ▪︎リスク・副作用について / 疼痛・腫れ・内出血・血管閉塞・アレルギー・感染・硬結など ※自由診療

    【ボトックス】
    ▪︎通常価格 / アラガン製1ccあたり / ¥7,800
    ▪︎治療回数 / 1回
    ▪︎治療内容 / 筋肉を一 時的にリラックスさせ、表情じわの改善やエラの収縮、肩こり症状の改善を図る目的とした施術です。
    ▪︎リスク・副作用について / 疼痛・腫れ・内出血・アレルギー・表情に違和感など ※自由診療

女性 30代

No.00310/ID:181170

患部の状態

  • 顔のたるみ
  • ほうれい線

本人のご要望

  • #フェイスラインをスッキリさせる
  • #たるみの改善
  • Before
    手術前の状態
  • Before
    手術前の状態
  • Before
    手術前の状態
  • After
    手術後の状態
  • After
    手術後の状態
  • After
    手術後の状態

施術内容・リスク

  • 施術内容・
    リスク
    【糸リフト】
    ▪︎通常価格 / ¥236,000〜¥597,600
    ▪︎治療回数 / 1回
    ▪︎治療内容 / 頬、フェイスラインのたるみの改善を図る目的とした施術です。
    ▪︎リスク・副作用について / 腫れ・痛み:2日〜1週間程度/内出血:1〜2週間程度 ※自由診療

    【ボトックス】
    ▪︎通常価格 / アラガン製1ccあたり / ¥7,800
    ▪︎治療回数 / 1回
    ▪︎治療内容 / 筋肉を一 時的にリラックスさせ、表情じわの改善やエラの収縮、肩こり症状の改善を図る目的とした施術です。
    ▪︎リスク・副作用について / 疼痛・腫れ・内出血・アレルギー・表情に違和感など ※自由診療

女性 40代

No.00309/ID:200315

患部の状態

  • フェイスラインのもたつき
  • 顔のたるみ
  • ほうれい線

本人のご要望

  • #フェイスラインをスッキリさせる
  • #たるみの改善
  • #ボトックス
  • Before
    手術前の状態
  • Before
    手術前の状態
  • Before
    手術前の状態
  • After
    手術後の状態
  • After
    手術後の状態
  • After
    手術後の状態

施術内容・リスク

  • 施術内容・
    リスク
    【糸リフト】
    ▪︎通常価格 / ¥236,000〜¥597,600
    ▪︎治療回数 / 1回
    ▪︎治療内容 / 頬、フェイスラインのたるみの改善を図る目的とした施術です。
    ▪︎リスク・副作用について / 腫れ・痛み:2日〜1週間程度/内出血:1〜2週間程度 ※自由診療

    【ヒアルロン酸注入】
    ▪︎通常価格 / アラガン製1ccあたり ¥77,000 韓国製1ccあたり ¥38,500
    ▪︎治療回数 / 1回
    ▪︎治療内容 / しわや窪み、輪郭の改善を図ることを目的とした施術です。
    ▪︎リスク・副作用について / 疼痛・腫れ・内出血・血管閉塞・アレルギー・感染・硬結など ※自由診療

    【ボトックス】
    ▪︎通常価格 / アラガン製1ccあたり / ¥7,800
    ▪︎治療回数 / 1回
    ▪︎治療内容 / 筋肉を一 時的にリラックスさせ、表情じわの改善やエラの収縮、肩こり症状の改善を図る目的とした施術です。
    ▪︎リスク・副作用について / 疼痛・腫れ・内出血・アレルギー・表情に違和感など ※自由診療

女性 30代

No.00308/ID:102383

患部の状態

  • 顔のたるみ
  • ほうれい線

本人のご要望

  • #フェイスラインをスッキリさせる
  • #たるみの改善
  • #ボトックス
  • Before
    手術前の状態
  • Before
    手術前の状態
  • Before
    手術前の状態
  • After
    手術後の状態
  • After
    手術後の状態
  • After
    手術後の状態

施術内容・リスク

  • 施術内容・
    リスク
    【糸リフト】
    ▪︎通常価格 / ¥236,000〜¥597,600
    ▪︎治療回数 / 1回
    ▪︎治療内容 / 頬、フェイスラインのたるみの改善を図る目的とした施術です。
    ▪︎リスク・副作用について / 腫れ・痛み:2日〜1週間程度/内出血:1〜2週間程度 ※自由診療

    【ヒアルロン酸注入】
    ▪︎通常価格 / アラガン製1ccあたり ¥77,000 韓国製1ccあたり ¥38,500
    ▪︎治療回数 / 1回
    ▪︎治療内容 / しわや窪み、輪郭の改善を図ることを目的とした施術です。
    ▪︎リスク・副作用について / 疼痛・腫れ・内出血・血管閉塞・アレルギー・感染・硬結など ※自由診療

    【ボトックス】
    ▪︎通常価格 / アラガン製1ccあたり / ¥7,800
    ▪︎治療回数 / 1回
    ▪︎治療内容 / 筋肉を一 時的にリラックスさせ、表情じわの改善やエラの収縮、肩こり症状の改善を図る目的とした施術です。
    ▪︎リスク・副作用について / 疼痛・腫れ・内出血・アレルギー・表情に違和感など ※自由診療

女性 40代

No.00013/ID:160169

患部の状態

  • エラの張り

本人のご要望

  • #エラ張りの改善
  • #ボトックス
  • Before
    手術前の状態
  • Before
    手術前の状態
  • Before
    手術前の状態
  • After
    手術後の状態
  • After
    手術後の状態
  • After
    手術後の状態

施術内容・リスク

  • 施術内容・
    リスク
    疼痛・腫れ・内出血・アレルギー・表情に違和感を生じる可能性があります