1. 首页
  2. 小脸整形 / 咬肌肉毒杆菌
  3. 肉毒杆菌
  4. 案例详情 No.00013

案例详情

No.00013/ID:160169

肉毒杆菌

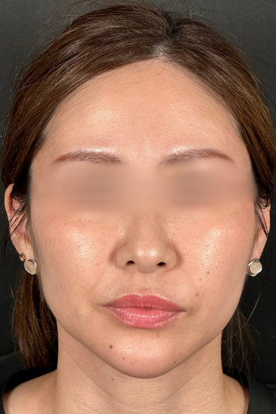
患部状态

  • 下颌角突出

本人要求

  • #改善下颌角宽大
  • #肉毒杆菌
  • Before
    手术前的状态 其一
  • Before
    手术前的状态 其一
  • Before
    手术前的状态 其一
  • After
    手术后的状态 其一
  • After
    手术后的状态 其一
  • After
    手术后的状态 其一
  • 手术名称
    肉毒杆菌
  • 治疗内容・风险
    可能会出现疼痛、肿胀、淤血、过敏反应及表情不自然的情况。
  • 医生
    渋谷 淳

术后恢复

手术前

  • 手术前的状态 其一
  • 手术前的状态 其一
  • 手术前的状态 其一

手术后立即

  • 手术前的状态 其一
  • 手术前的状态 其一
  • 手术前的状态 其一

手术一个月后

  • 手术前的状态 其一
  • 手术前的状态 其一
  • 手术前的状态 其一