1. 首页
  2. 小脸整形 / 咬肌肉毒杆菌
  3. 肉毒杆菌
  4. 案例详情 No.00310

案例详情

No.00310/ID:181170

肉毒杆菌

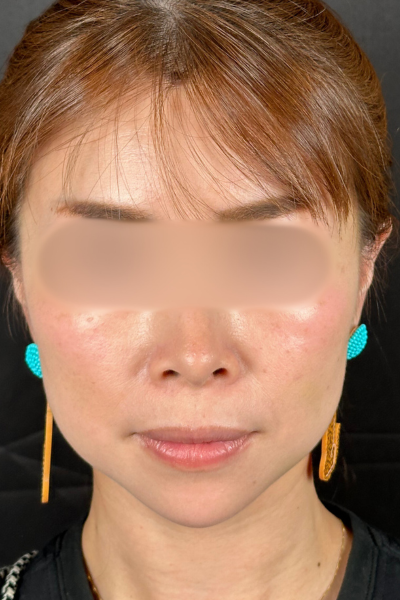
患部状态

  • 面部松弛
  • 法令纹

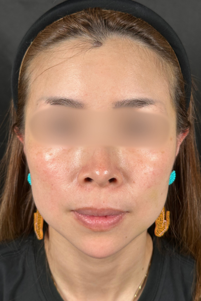
本人要求

  • #使脸部线条更清晰
  • #改善皮肤松弛
  • Before
    手术前的状态 其一
  • Before
    手术前的状态 其一
  • Before
    手术前的状态 其一
  • After
    手术后的状态 其一
  • After
    手术后的状态 其一
  • After
    手术后的状态 其一
  • 手术名称
    线雕提升/PDO20根 + 肉毒杆菌/Allergan品牌 (100単位)
  • 治疗内容・风险
    【线雕提升】
    ▪︎通常价格 / ¥236,000〜¥597,600
    ▪︎治疗次数 / 1
    ▪︎治疗内容 / 用于改善面颊和面部轮廓松弛的治疗。
    ▪︎风险及副作用 / 肿胀、疼痛:2天〜1周 / 淤血:1〜2周 ※自费医疗

    【肉毒杆菌】
    ▪︎通常价格 / Allergan产品每1cc ¥7,800
    ▪︎治疗次数 / 1
    ▪︎治疗内容 / 通过暂时放松肌肉来改善表情纹、缩小咬肌,以及缓解肩部僵硬症状的治疗。
    ▪︎风险及副作用 / 疼痛、肿胀、淤血、过敏、表情不自然等 ※自费医疗
  • 医生
    崔 煌植

术后恢复

手术前

  • 手术前的状态 其一
  • 手术前的状态 其一
  • 手术前的状态 其一

手术后立即

  • 手术前的状态 其一
  • 手术前的状态 其一
  • 手术前的状态 其一

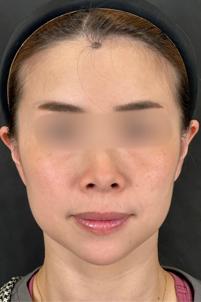
手术一周后(无化妆)

  • 手术前的状态 其一
  • 手术前的状态 其一
  • 手术前的状态 其一

手术一周后(有化妆)

  • 手术前的状态 其一
  • 手术前的状态 其一
  • 手术前的状态 其一

手术一个月后(有化妆)

  • 手术前的状态 其一
  • 手术前的状态 其一
  • 手术前的状态 其一