1. 首页
  2. 小脸整形 / 面部溶脂术(脸颊・下巴)
  3. 溶脂术
  4. 案例详情 No.00361

案例详情

No.00361/ID:144754

溶脂术

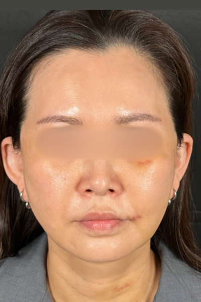
患部状态

  • 面部松弛
  • 法令纹

本人要求

  • #线雕提升/VOV
  • #溶脂术
  • Before
    手术前的状态 其一
  • Before
    手术前的状态 其一
  • Before
    手术前的状态 其一
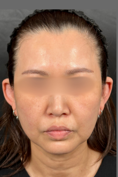
  • After
    手术后的状态 其一
  • After
    手术后的状态 其一
  • After
    手术后的状态 其一
  • 手术名称
    线雕提升/VOV20根 + 颧脂垫取出瘦脸术 + 溶脂术(脸颊・下巴)
  • 治疗内容・风险
    【线雕提升】
    ▪︎通常价格 / ¥236,000〜¥597,600
    ▪︎治疗次数 / 1
    ▪︎治疗内容 / 用于改善面颊和面部轮廓松弛的治疗。
    ▪︎风险及副作用 / 肿胀、疼痛:2天〜1周 / 淤血:1〜2周 ※自费医疗

    【颊脂肪、颧骨脂肪去、下颌脂肪去除】
    ▪︎通常价格 / 每项 ¥200,000
    ▪︎治疗次数 / 1
    ▪︎治疗内容 / 去除导致脸颊下垂和轮廓臃肿的颊脂肪垫,以实现更紧致的脸部轮廓为目标的手术。
    ▪︎风险及副作用 / 疲惫感、发热感、头痛、荨麻疹、瘙痒、浮肿、发热、咳嗽、盗汗、胸痛、不对称、凹陷、脸颊塌陷、皮肤松弛等 ※自费医疗

    【溶脂术(双颊・下巴下)】
    ▪︎通常价格 / ¥400,000
    ▪︎治疗次数 / 1
    ▪︎治疗内容 / 从脂肪较多或关注的部位吸取脂肪细胞的手术。
    ▪︎风险及副作用 / 疲倦、发热、头痛、荨麻疹、瘙痒、肿胀、发烧、咳嗽、冷汗、胸痛、吸取部位皮肤变硬、表面不平整、手术部位感觉麻木、迟钝、刺痛、皮肤色素沉着等 ※自费医疗
  • 医生
    崔 煌植

术后恢复

手术前

  • 手术前的状态 其一
  • 手术前的状态 其一
  • 手术前的状态 其一

手术后立即

  • 手术前的状态 其一
  • 手术前的状态 其一
  • 手术前的状态 其一

手术一周后(无化妆)

  • 手术前的状态 其一
  • 手术前的状态 其一
  • 手术前的状态 其一

手术一周后(有化妆)

  • 手术前的状态 其一
  • 手术前的状态 其一
  • 手术前的状态 其一

手术一个月后(无化妆)

  • 手术前的状态 其一
  • 手术前的状态 其一
  • 手术前的状态 其一