1. トップページヘ
  2. 小顔(糸リフト・顔の脂肪吸引) / 糸リフト
  3. 糸リフト
  4. 症例詳細No.00626

症例詳細

No.00626/ID:215257

糸リフト

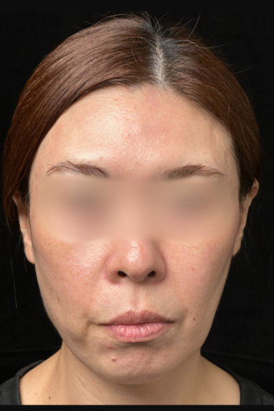
患部の状態

  • フェイスラインのもたつき
  • 顔のたるみ

本人のご要望

  • #糸リフトPDO
  • #ヒアルロン酸
  • Before
    手術前の状態
  • Before
    手術前の状態
  • Before
    手術前の状態
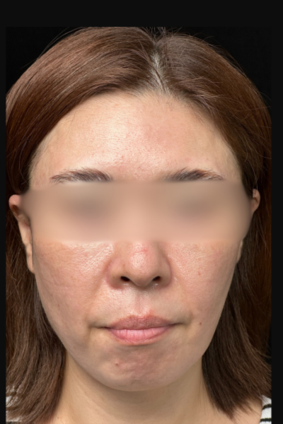
  • After
    手術後の状態
  • After
    手術後の状態
  • After
    手術後の状態
  • 施術名
    糸リフト/PDO12本+ヒアルロン酸
  • 施術内容・
    リスク
    【糸リフト】
    ▪︎通常価格 / ¥236,000〜¥597,600
    ▪︎治療回数 / 1回
    ▪︎治療内容 / 頬、フェイスラインのたるみの改善を図る目的とした施術です。
    ▪︎リスク・副作用について / 腫れ・痛み:2日〜1週間程度/内出血:1〜2週間程度 ※自由診療

    【ヒアルロン酸注入】
    ▪︎通常価格 / アラガン製1ccあたり ¥77,000 韓国製1ccあたり ¥38,500
    ▪︎治療回数 / 1回
    ▪︎治療内容 / しわや窪み、輪郭の改善を図ることを目的とした施術です。
    ▪︎リスク・副作用について / 疼痛・腫れ・内出血・血管閉塞・アレルギー・感染・硬結など ※自由診療
  • ドクター
    原 千紘

術後経過

施術前

  • 手術前の状態 その1
  • 手術前の状態 その1
  • 手術前の状態 その1

施術直後

  • 手術前の状態 その1
  • 手術前の状態 その1
  • 手術前の状態 その1

施術1週間後(メイクなし)

  • 手術前の状態 その1
  • 手術前の状態 その1
  • 手術前の状態 その1