1. トップページヘ
  2. 小顔(糸リフト・顔の脂肪吸引) / 糸リフト
  3. 糸リフト
  4. 症例詳細No.00031

症例詳細

No.00031/ID:110682

糸リフト

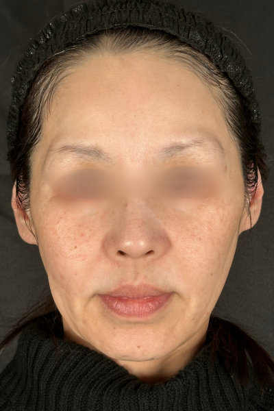
患部の状態

  • フェイスラインのもたつき
  • 顔のたるみ
  • ほうれい線

本人のご要望

  • #フェイスラインをスッキリさせる
  • #たるみの改善
  • #糸リフトVOV
  • Before
    手術前の状態
  • Before
    手術前の状態
  • Before
    手術前の状態
  • After
    手術後の状態
  • After
    手術後の状態
  • After
    手術後の状態
  • 施術名
    糸リフト
  • 施術内容・
    リスク
    腫れ・痛み:2日〜1週間程度/内出血:1〜2週間程度
  • ドクター

術後経過

施術前

  • 手術前の状態 その1
  • 手術前の状態 その1
  • 手術前の状態 その1

施術直後

  • 手術前の状態 その1
  • 手術前の状態 その1
  • 手術前の状態 その1

施後1ヶ月

  • 手術前の状態 その1
  • 手術前の状態 その1
  • 手術前の状態 その1