1. Home
  2. Facial slimming / Thread Lift
  3. Thread Lift
  4. Case Details No.00305

Case Details

No.00305/ID:181170

Thread Lift

Condition of the Area

  • Facial sagging
  • Nasolabial folds

Patient’s Request

  • #Jawline slimming
  • #Tighten up sagging
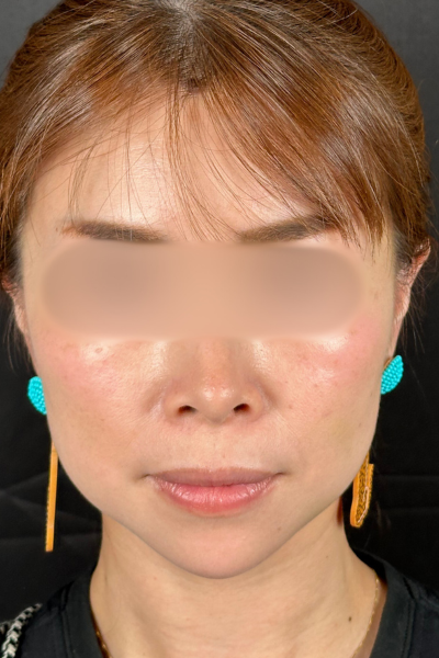
  • Before
    Preoperative Condition Part 1
  • Before
    Preoperative Condition Part 1
  • Before
    Preoperative Condition Part 1
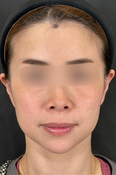
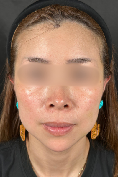
  • After
    Postoperative Condition Part 1
  • After
    Postoperative Condition Part 1
  • After
    Postoperative Condition Part 1
  • Procedure Name
    Thread Lift/PDO 20 threads + Botox/ALLERGAN (100 units)
  • Procedure / Risks
    【Thread Lift】
    ・Regular Price: ¥236,000〜¥597,600
    ・Number of procedures / 1
    ・Treatment Details: A procedure aimed at improving sagging in the cheeks and jawline.
    ・Risks & Side Effects: Swelling and pain lasting 2 days to 1 week, bruising lasting 1 to 2 weeks. ※private medical care

    【Botox】
    ・Regular Price: Allergan product / ¥7,800 per 1cc
    ・Number of treatments / 1 session
    ・Treatment Details: A procedure to temporarily relax muscles to improve expression lines, reduce prominent jawline, and alleviate stiff shoulders.
    ・Risks & Side Effects: Pain, swelling, bruising, allergic reactions, discomfort in facial expressions. Elective procedure, etc. ※private medical care
  • Doctor
    Koushoku Sai

Post OP Progress

Before

  • Postoperative Condition Part 1
  • Postoperative Condition Part 1
  • Postoperative Condition Part 1

Right After surgery

  • Postoperative Condition Part 1
  • Postoperative Condition Part 1
  • Postoperative Condition Part 1

After 1 week (with NO makeup)

  • Postoperative Condition Part 1
  • Postoperative Condition Part 1
  • Postoperative Condition Part 1

After 1 week (with makeup)

  • Postoperative Condition Part 1
  • Postoperative Condition Part 1
  • Postoperative Condition Part 1

After 1 Month (with makeup)

  • Postoperative Condition Part 1
  • Postoperative Condition Part 1
  • Postoperative Condition Part 1