1. トップページヘ
  2. 小顔(糸リフト・顔の脂肪吸引) / ハイフ

ハイフ

絞り込み検索

1~3件を表示:全3件

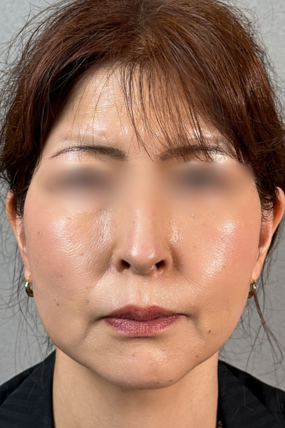
女性 40代

No.00329/ID:170262

患部の状態

  • 顔のたるみ
  • ほうれい線

本人のご要望

  • #フェイスラインをスッキリさせる
  • #糸リフトPDO
  • #ボトックス
  • Before
    手術前の状態
  • Before
    手術前の状態
  • Before
    手術前の状態
  • After
    手術後の状態
  • After
    手術後の状態
  • After
    手術後の状態

施術内容・リスク

  • 施術内容・
    リスク
    【糸リフト】
    ▪︎通常価格 / ¥236,000〜¥597,600
    ▪︎治療回数 / 1回
    ▪︎治療内容 / 頬、フェイスラインのたるみの改善を図る目的とした施術です。
    ▪︎リスク・副作用について / 腫れ・痛み:2日〜1週間程度/内出血:1〜2週間程度 ※自由診療

    【ボトックス】
    ▪︎通常価格 / アラガン製1ccあたり / ¥7,800
    ▪︎治療回数 / 1回
    ▪︎治療内容 / 筋肉を一 時的にリラックスさせ、表情じわの改善やエラの収縮、肩こり症状の改善を図る目的とした施術です。
    ▪︎リスク・副作用について / 疼痛・腫れ・内出血・アレルギー・表情に違和感など ※自由診療

    【ハイフ】
    ▪︎通常価格 / ¥16,200〜¥220,800
    ▪︎治療回数 / 1回
    ▪︎治療内容 / HIFU(高密度焦点式超音波)を照射し、熱の力で皮下組織を凝集することで
    たるみの改善、肌を引き締めリフトアップする治療です。
    ▪︎リスク・副作用について / 赤み:1~2週間程度 ※自由診療

女性 40代

No.00328/ID:185325

患部の状態

  • 顔のたるみ
  • ほうれい線

本人のご要望

  • #フェイスラインをスッキリさせる
  • #たるみの改善
  • Before
    手術前の状態
  • Before
    手術前の状態
  • Before
    手術前の状態
  • After
    手術後の状態
  • After
    手術後の状態
  • After
    手術後の状態

施術内容・リスク

  • 施術内容・
    リスク
    【糸リフト】
    ▪︎通常価格 / ¥236,000〜¥597,600
    ▪︎治療回数 / 1回
    ▪︎治療内容 / 頬、フェイスラインのたるみの改善を図る目的とした施術です。
    ▪︎リスク・副作用について / 腫れ・痛み:2日〜1週間程度/内出血:1〜2週間程度 ※自由診療

    【ヒアルロン酸注入】
    ▪︎通常価格 / アラガン製1ccあたり ¥77,000 韓国製1ccあたり ¥38,500
    ▪︎治療回数 / 1回
    ▪︎治療内容 / しわや窪み、輪郭の改善を図ることを目的とした施術です。
    ▪︎リスク・副作用について / 疼痛・腫れ・内出血・血管閉塞・アレルギー・感染・硬結など ※自由診療

    【ハイフ】
    ▪︎通常価格 / ¥16,200〜¥220,800
    ▪︎治療回数 / 1回
    ▪︎治療内容 / HIFU(高密度焦点式超音波)を照射し、熱の力で皮下組織を凝集することで
    たるみの改善、肌を引き締めリフトアップする治療です。
    ▪︎リスク・副作用について / 赤み:1~2週間程度 ※自由診療

女性 20代

No.00049/ID:111111

患部の状態

  • 顔のたるみ

本人のご要望

  • #フェイスラインをスッキリさせる
  • #たるみの改善
  • Before
    手術前の状態
  • Before
    手術前の状態
  • Before
    手術前の状態
  • After
    手術後の状態
  • After
    手術後の状態
  • After
    手術後の状態

施術内容・リスク

  • 施術内容・
    リスク
    赤み:1~2週間程度